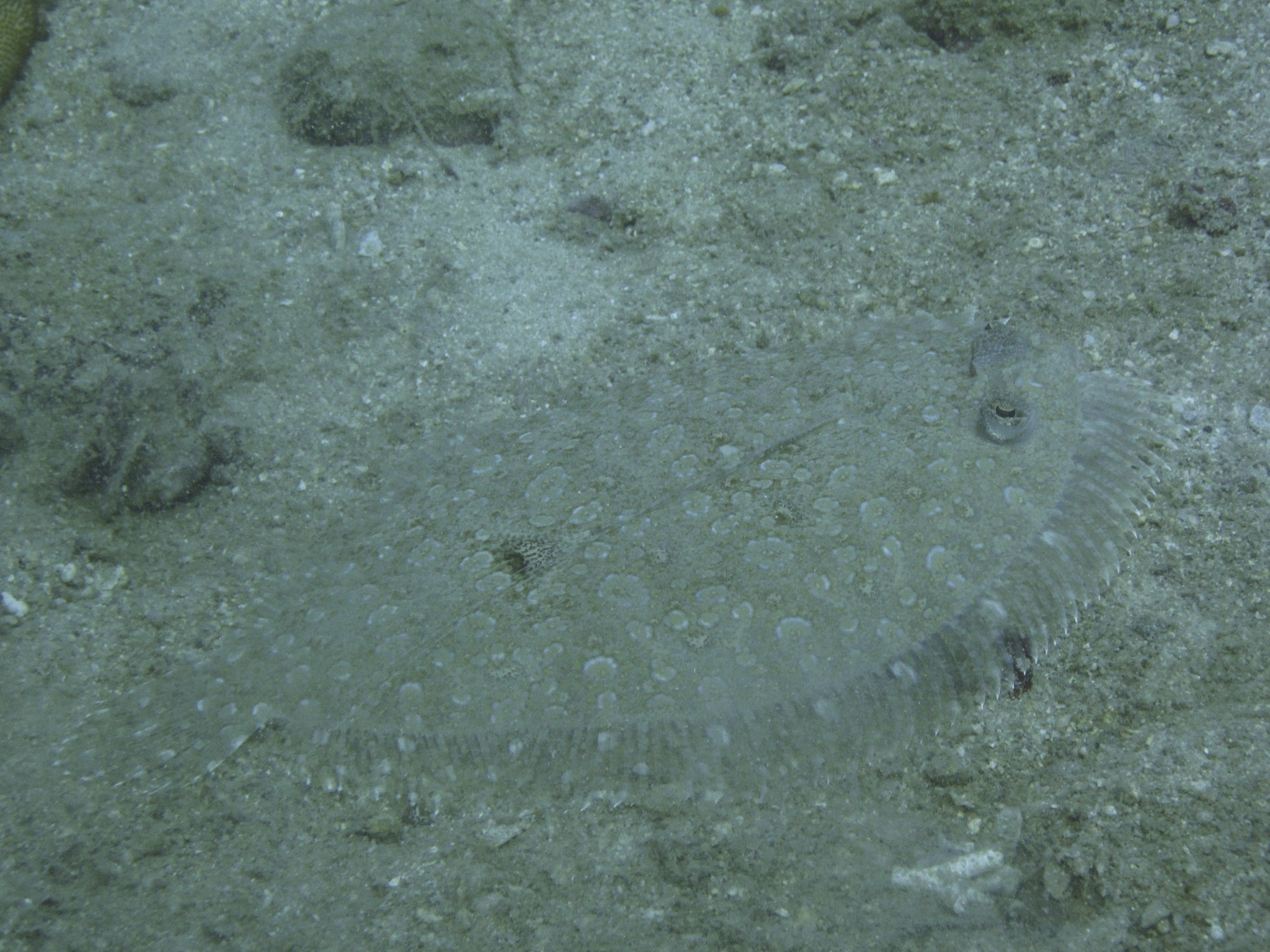
【科名】鮃科(Bothidae)
【學名】Bothus myriaster
【別名】扁魚、半邊魚、比目魚、皇帝魚
【型態特徵】
體極平扁近圓形,眼小,兩眼均在左側,眼間隔極寬且凹陷。背緣呈弧形。眼側除背腹緣被櫛鱗外,皆被圓鱗,盲側被圓鱗;背鰭與臀鰭鰭條均被鱗;眼側具側線,盲側無側線。胸鰭延長,特別是雄魚;尾鰭圓形。眼側體棕色或暗灰色,有自多具淡棕色環紋,背及臀鰭具暗斑,尾鰭具黑緣;盲側前半部乳黃色,後半部暗褐色,雄魚於具許多暗色橫波紋,雌魚較不明顯,幼魚則全無。
【生態習性】
典型的肉食主義者,以底棲無脊椎動物或小魚為食物。是一種非常普遍的魚類,屬沿岸底棲魚類,常出沒於礁區和砂泥的交接處,將魚體半埋於沙中,不喜活動。
【棲地分布】
台灣分布於本島及離島各地海域。
【原住民族語名】
雅美族
matapi among
karaing among
【生活使用】
食用。
雅美族
雅美語matapi among,語意「扁扁的魚」。
屬於不實用的魚種,但也有部落年輕人會食用。

【圖1】作者:Vsevolod。創用CC 姓名標示 4.0國際(CC BY 4.0 International)。發布於iNaturalist
參考文獻: